En utilisant ce site, vous acceptez la Politique de confidentialité et les Conditions d'utilisation.
Accept
Media Wall NewsMedia Wall NewsMedia Wall News
  • Accueil
  • Canada
  • Ukraine et affaires mondiales
  • Politique
  • Technologie
  • Guerre commerciale de Trump 🔥
  • Français
    • English (Anglais)
Reading: Intensification Rapide de l’Ouragan Erin Catégorie 5 en Tempête Catastrophique
Share
Font ResizerAa
Media Wall NewsMedia Wall News
Font ResizerAa
  • Économie
  • Politique
  • Affaires
  • Technologie
Rechercher
  • Home
  • Canada
  • Ukraine et affaires mondiales
  • Élections 2025 🗳
  • Guerre commerciale de Trump 🔥
  • Ukraine et Affaires mondiales
  • Français
    • English (Anglais)
Follow US
© 2025 Media Wall News. All Rights Reserved.
Media Wall News > Ukraine et Affaires mondiales > Intensification Rapide de l’Ouragan Erin Catégorie 5 en Tempête Catastrophique
Ukraine et Affaires mondiales

Intensification Rapide de l’Ouragan Erin Catégorie 5 en Tempête Catastrophique

Malik Thompson
Last updated: août 17, 2025 3:14 AM
Malik Thompson
9 mois ago
Share
SHARE

Je couvre les phénomènes météorologiques extrêmes depuis plus de vingt ans, mais ce que nous observons avec l’ouragan Erin représente une nouvelle réalité effrayante dans les systèmes de tempêtes atlantiques.

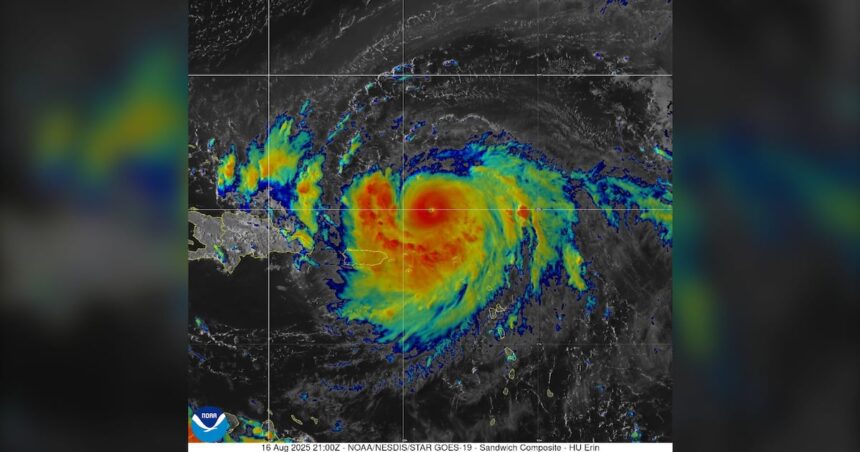
L’intensification rapide d’Erin, passant d’une dépression tropicale à un ouragan de catégorie 5 en seulement 48 heures, a pris de court les météorologues et les planificateurs d’urgence. Hier, au Centre national des ouragans à Miami, j’ai observé les prévisionnistes regroupés autour des écrans, le visage grave alors que les vitesses des vents dépassaient les 280 km/h.

« Nous constatons des taux d’intensification qui auraient été considérés comme théoriques il y a seulement quinze ans, » m’a confié Dr. Helena Ramirez, prévisionniste en chef au CNO, alors que nous examinions les dernières mesures de pression. « La combinaison des eaux atlantiques d’une chaleur record et d’un cisaillement minimal du vent a essentiellement créé un environnement parfait pour un renforcement explosif. »

Erin menace maintenant plusieurs îles des Caraïbes avec des vents catastrophiques et une onde de tempête pouvant dépasser 6 mètres dans certaines zones côtières. Le mur de l’œil de l’ouragan s’est resserré en une formation inhabituellement compacte, concentrant sa force destructrice.

À Antigua, où les ordres d’évacuation sont entrés en vigueur hier, j’ai parlé avec le pêcheur Claude Benoit alors qu’il sécurisait son bateau. « En quarante ans sur ces eaux, je n’ai jamais vu la pression barométrique chuter comme ça, » a-t-il dit, en montrant l’horizon qui s’assombrissait. « La mer ne ment pas. Celui-ci est différent. »

Les données confirment son évaluation. Selon les chasseurs d’ouragans de la NOAA qui ont traversé la tempête ce matin, la pression centrale d’Erin a chuté à 915 millibars, ce qui en fait l’un des ouragans atlantiques les plus intenses jamais enregistrés. Les températures de surface de la mer sur le parcours d’Erin sont en moyenne de 2 à 3°C au-dessus de la normale pour la mi-août, fournissant une énergie abondante pour un renforcement continu.

Les implications vont au-delà de la destruction immédiate. Des climatologues de l’Institut de la Terre de l’Université Columbia ont documenté une tendance préoccupante des ouragans à maintenir leur intensité maximale plus longtemps avant de toucher terre. Dr. James Kossin, qui étudie la climatologie des ouragans, a expliqué via une liaison satellite depuis sa station de terrain: « Ce que nous voyons avec Erin reflète des modèles observés dans plusieurs tempêtes récentes – des taux d’intensification plus rapides, des vents de pointe plus élevés et une plus grande capacité de précipitations. »

Pour les nations insulaires encore en reconstruction après les saisons cycloniques précédentes, Erin représente une menace existentielle. Le Premier ministre de la Dominique, dont le pays a subi des dommages catastrophiques causés par l’ouragan Maria en 2017, a lancé un appel émouvant à l’aide internationale lors d’une conférence de presse d’urgence ce matin.

« Notre infrastructure ne peut pas résister à un autre impact direct d’une tempête de cette ampleur, » a-t-il déclaré. « Le changement climatique n’est pas une préoccupation future abstraite pour nous – il arrive chaque saison cyclonique avec une fureur croissante. »

Les responsables de la gestion des urgences dans toute la région ont activé leurs protocoles de réponse les plus élevés. La FEMA a pré-positionné des ressources à Porto Rico, bien que des préoccupations subsistent quant au réseau électrique encore fragile du territoire. Le souvenir des suites de l’ouragan Maria, lorsque certaines communautés sont restées sans électricité pendant près d’un an, reste vif.

La Marine américaine a détourné trois navires pour soutenir d’éventuelles opérations de sauvetage, et les organisations d’aide internationale mobilisent des ressources. Mais la vitesse du développement d’Erin a considérablement comprimé les délais de préparation.

Ce qui rend Erin particulièrement dangereux est sa trajectoire prévue. Contrairement aux ouragans qui s’incurvent vers le nord dans les eaux ouvertes de l’Atlantique, les modèles actuels montrent qu’Erin maintient une trajectoire vers l’ouest qui pourrait menacer d’importants centres de population dans les jours à venir. Le cône d’incertitude s’étend de la péninsule du Yucatan à la côte du Golfe de la Floride.

J’ai couvert suffisamment de catastrophes pour savoir que les chiffres et les catégories ne parviennent pas à capturer l’expérience humaine face à de telles tempêtes. À San Juan, où les souvenirs de Maria restent vifs, la pharmacienne Sofia Mendez a décrit le fardeau psychologique alors qu’elle stockait des fournitures d’urgence.

« Chaque fois que les prévisions s’aggravent, je sens ma poitrine se serrer, » a-t-elle dit, en organisant des médicaments pour les patients âgés. « Le traumatisme ne s’estompe pas quand la prochaine tempête est déjà en formation. »

Les implications économiques sont tout aussi graves. Le tourisme, source vitale de nombreuses économies caribéennes, chute généralement de 30 à 40% dans les mois suivant les impacts majeurs des ouragans. Les marchés d’assurance réagissent déjà, avec des taux de réassurance immobilière en hausse pour les propriétés côtières dans toute la région.

Pour les climatologues, Erin représente un point de données préoccupant plutôt qu’une anomalie. L’Organisation météorologique mondiale a documenté une tendance claire à l’augmentation de l’intensité des ouragans dans le monde entier, la proportion de tempêtes atteignant la force de catégorie 4 ou 5 augmentant d’environ 25 à 30% depuis les années 1970.

Alors que les ordres d’évacuation s’étendent et que les préparatifs s’intensifient, les jours à venir mettront à l’épreuve les systèmes d’intervention d’urgence dans plusieurs pays. Selon les projections actuelles, Erin pourrait maintenir sa force de catégorie 5 pendant une période inhabituellement prolongée, établissant potentiellement de nouveaux records pour la durée d’une tempête à intensité maximale.

De mes années à couvrir des zones de conflit aux catastrophes climatiques, j’ai appris que la préparation et la résilience communautaire déterminent les résultats autant que les paramètres physiques d’une tempête. Les questions sont maintenant de savoir si les plans d’évacuation fonctionneront comme prévu, si les infrastructures critiques peuvent résister aux impacts attendus, et si l’aide internationale arrivera où et quand elle sera le plus nécessaire.

L’intensification sans précédent de l’ouragan Erin sert de rappel brutal que notre compréhension des systèmes météorologiques tropicaux continue d’évoluer – parfois avec des implications effrayantes pour les communautés côtières du monde entier.

You Might Also Like

Conflit de personnel entre l’Inde et l’ambassade du Canada alors que l’Inde conteste la revendication d’Anand

Intrusion de drones russes en Roumanie suscite des tensions au sein de l’OTAN

Détention de personnel de l’ONU par les Houthis au Yémen lors de raids d’agences d’aide

Sommet Chine 2025 : Xi et Poutine critiquent l’influence occidentale

Reprise des négociations commerciales Canada-Inde 2024 après des tensions

TAGGED:Caraïbes, Ouragan Erin, Tempêtes Atlantiques
Share This Article
Facebook Email Print
ParMalik Thompson
Suivre :

Social Affairs & Justice Reporter

Based in Toronto

Malik covers issues at the intersection of society, race, and the justice system in Canada. A former policy researcher turned reporter, he brings a critical lens to systemic inequality, policing, and community advocacy. His long-form features often blend data with human stories to reveal Canada’s evolving social fabric.

Previous Article La controverse du conseil de la santé Grey Bruce suscite un débat sur la gouvernance locale
Next Article Ottawa Implique l’Arbitrage dans le Conflit de Travail chez Air Canada
Laisser un commentaire

Laisser un commentaire Annuler la réponse

Votre adresse courriel ne sera pas publiée. Les champs obligatoires sont indiqués avec *

Retrouvez-nous sur les réseaux sociaux

Dernières actualités

Ottawa Informé des Licenciements d’Algoma Steel Avant d’Approuver le Prêt Gouvernemental 2025
Politique
Réouverture du poste frontière de Gaza 2024 : Israël autorise des sorties palestiniennes sélectionnées
Crise au Moyen-Orient
Lancement du Registre de santé des survivants du cancer au Canada
Santé
Exonération recherchée par un artiste dans l’affaire de meurtre de 1935 en Nouvelle-Écosse
Justice et Droit
logo

Canada’s national media wall. Bilingual news and analysis that cuts through the noise.

Catégories principales

  • Politique
  • Affaires
  • Technologie
  • Économie
  • Vigie de la désinformation 🔦
  • Politique américaine
  • Ukraine et Affaires mondiales

Plus de catégories

  • Culture
  • Démocratie et Droits
  • Énergie et Climat
  • Santé
  • Justice et Droit
  • Opinion
  • Société

À propos de nous

  • Nous contacter
  • À propos de nous
  • Annoncez avec nous
  • Politique de confidentialité
  • Conditions d’utilisation

Langue

  • Français
    • English (Anglais)

Retrouvez-nous sur les réseaux sociaux

© 2025 Media Wall News. All Rights Reserved.